Nya kunskaper om tripsar – Sveriges dolda mångfald i blommor, våtmarker och gräsmarker
Tripsar har länge varit en förbisedd del av Sveriges insektsfauna. En ny genomgång avslöjar fler arter än väntat, oväntad nordlig utbredning och en rik mångfald i våtmarker, samt ekologiska samband som tidigare varit dolda.
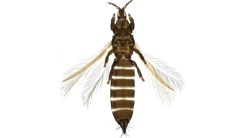
Smaltripsarna (familjen i Thripidae i ordningen tripsar, Thysanoptera) är den sista stora gruppen svenska tripsar som nu har fått en omfattande genomgång. Tillsammans med tidigare studier av rörtripsar (Phlaeothripidae) och rovtripsar (Aeolothripidae) har nu mycket ny kunskap om den svenska tripsfaunan växt fram. De är små, ofta bara någon millimeter långa, och för många är tripsar mest kända som skadedjur. Men den bilden är missvisande. De flesta svenska smaltripsar lever undanskymda liv i blommor, gräs och andra specialiserade miljöer, där de ingår i ekologiska samband som vi länge har känt förvånansvärt lite till.
Det kanske mest uppseendeväckande resultatet är hur mycket som fortfarande varit dolt. Genom riktad insamling, genomgång av museimaterial och nya analyser rapporteras tio arter som nya för Sverige och nästan hundra nya landskapsfynd. Särskilt många nya fynd kommer från norra Sverige, vilket tydligt visar att den nordliga tripsfaunan länge varit underskattad snarare än artfattig. Bakom de nya fynden skymtar en ny förståelse av hur långt norrut många arter faktiskt förekommer. Det går inte att utesluta att en del av dessa arter har haft en spridning norrut nyligen, på grund av mänsklig transport och klimatförändringar.
Tripsar i våtmarker
En annan viktig upptäckt är att våtmarker hyser en oväntat rik tripsfauna. Kärr, rikkärr, strandängar, vassbälten och kustmiljöer visar sig rymma en del av den svenska tripsmångfalden som hittills nästan hamnat utanför radarn. Många arter är knutna till gräs och halvgräs i fuktiga miljöer, och vassruggar och våta gräsmarker verkar fungera som refuger för denna fauna. Det gör våtmarkerna extra intressanta som livsmiljöer för små och förbisedda insekter med hög specialisering.
Särskilt fascinerande är kopplingarna mellan tripsar och specifika växter och deras ekologi. Iridothrips iridis är till exempel knuten till svärdslilja och lever skyddad inne i bladslidorna, medan Thrips menyanthidis är bunden till vattenklöver. Andra arter utvecklas i gräsens blomställningar, ibland i vass och strandnära gräsmarker. Smaltripsarna är därför inte bara “små insekter på växter”, utan ofta arter med mycket specifika ekologiska relationer till värdväxter och livsmiljöer
Artbestämma tripsar
Den digitala nyckeln i Artfakta gör det möjligt att bestämma alla svenska tripsarter i ett och samma verktyg. Samtidigt är det viktigt att komma ihåg att nyckeln främst gäller preparerade exemplar. Många avgörande kännetecken är mycket små och måste studeras i mikroskop, till exempel antennsegment, sinnesorgan, behåring och borst på kroppen.

Metoderna för preparering och undersökning finns dock väl beskrivna i litteraturen, och nyckeln öppnar därmed dörren till en tidigare svåråtkomlig insektsgrupp. Tillsammans visar resultaten att Sveriges smaltripsar inte bara är fler än vi trott, de är också mer ekologiskt specialiserade, mer nordligt spridda och betydligt mer spännande än sitt rykte.
Text: Emma Wahlberg
Länkar:
- Wahlberg E, Gertsson C-A, Ulitzka MR, Frisk E, Nein E, Sandström J (2026) The Swedish Thripidae (Thysanoptera) – with additional notes on wetland thrips. ZooKeys 1270: 99-155.
- Bestämningsnyckel i Artfakta till alla tripsarter som förekommer i Sverige
